close

Peters Township approves patio home development

3 min read
article image -

A new 54-unit residential development has gained Peters Township Council’s approval.

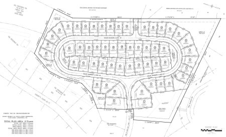
The unanimous vote last week paves the way for Sherwood Pond, the final phase of the Crossings plans developed by Eddy Land Co. of Bridgeville. The patio homes, carrying an expected average price tag of $550,000, are to be built on 15.761 acres between the current terminus of Maid Marion Lane and the Pleasant Valley Elementary School property.

One of the conditions to be met for approval is an interconnection between the development and the school, for the purpose of two daily bus trips. Peters Township School District officials raised concerns about the proposed location of the road, but those have been addressed.

“It is now located at the point closest to the driveway of the school district, and the school district is satisfied with that,” township manager Paul Lauer told council at its March 27 meeting.

The approval still is subject to several other conditions, most of which were dependent on council’s approval of Sherwood Pond for recording purposes. Among them, though, is a stipulation for the homes’ exterior to “be primarily brick on all four sides,” as is the prevailing appearance in Eddy’s neighboring Crossings Six.

The developer is offering brick as an option, but the primary intent is to use Hardie plank, also known as cement board siding.

“You don’t have to paint it or anything, and that appeals to the empty nesters we’re selling to, not to do anything with this,” Jon Moritz, Eddy vice president, said.

That type of building material also allows for more variation, he told council.

“We don’t allow the same color next to each other,” he said. “There are different options you can do with Hardie plank, with different sizes and shapes, that we can’t do with brick.”

Four floor plans will be available for the single-family homes, which range in size from 1,800 to 2,700 square feet.

When the developer first brought plans to township officials in 2015, several property owners on nearby streets raised issues with regard to privacy and other matters.

“They are just so close, because of the way our house sits,” Will Scarlett Drive resident Linda Vaira told council at the most recent meeting. “I know there are rules and regulations that are based on zoning and whatnot, but none of those zoning rules take into effect existing property and where the houses sit on that existing property.”

She did acknowledged members of Eddy’s Moritz family have talked with her and her husband, Robert, along with some of the her neighbors, to make appropriate accommodations.

Chief among those is a 25-foot buffer around Sherwood Pond’s perimeter, even though only 15 feet is required in Peters’ R-2 Multifamily Residential district. Evergreens will be planted in the areas closest to Will Scarlett Drive to allow for screening throughout the year.

CUSTOMER LOGIN

If you have an account and are registered for online access, sign in with your email address and password below.

NEW CUSTOMERS/UNREGISTERED ACCOUNTS

Never been a subscriber and want to subscribe, click the Subscribe button below.

Starting at $3.75/week.

Subscribe Today